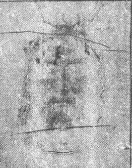
FRONT IMAGE
Water stains from putting
out 1532 fire.
SWELLING FROM BLOWS TO
FACE
Crease in shroud
LARGE FLOW OF BLOOD AND
FLUID FROM SIDE
BLOOD FROM WRIST WOUND
DOWN ARM
BLOOD FROM NAIL WOUND IN
THE WRIST
The 1532 fire burned an
edge of the folded shroud; resulting holes patched in 1532.
Scorch along folds from
1532 fire
BLOOD FROM NAIL WOUNDS IN
THE FEET
BACK IMAGE
BLOOD FROM PUNCTURE
MARKS ON THE HEAD
SHOULDER ABRASIONS
Size of shroud is 14 feet 3 inches by 3 feet 7
inches
BLOOD FROM SIDE WOUND
RUNNING TO THE BACK
Burns prior to 1532
SCOURGE MARKS
Narrow side strip attached
on unknown date
Backing cloth; corner
section of Shroud missing
BLOOD FROM NAIL WOUNDS IN
THE FEET
THE BURIAL LINEN OF CHRIST
WAS NOT WELL KNOWN. Because of the persecutions, heresies and wars,
the Shroud was hidden most of the time. Besides, with the exception
of bloodstains, the image was not clear.
The Shroud is 43 inches by 14-1/4 feet, of costly
manufacture, made of excellent absorbent linen. There are two prints
in the Shroud; firstly, the blood stains which sank deep into the
linen and showing, thereby, every wound in Christ’s body. Secondly,
the image of the body of Christ, front and back view, in negative
form, which is blurred to the naked eye and invisible if viewed at
close range. This did not sink deep but is very superficially
imprinted; and this image is 3-dimensional. The negative image shows
a photographic, not painted, form of a man, which is anatomically
perfect. In spite of tortures and wounds, the face has a serene,
astounding and adorable majesty exuding divinity.
It was Secondo Pia who first saw the image in its
striking detail in a film negative; it showed in its excruciating
detail the exact scenario of what happened to Him. A bearded man
approximately 5’11” in height, Caucasian; the Shroud shows the front
and back of a man, the linen being under Him and folded over the
head and covering the front.
He is estimated to be 30-35 years old, about 175
lbs., well built, muscular and one accustomed to manual labor. The
body markings show he died a brutal death. The hairstyle and beard
are consistent with those of the Sephardic Jews or noble Arabs of
the 1st century.
Aside from the Shroud, a piece of linen shut His
jaws, thus parting the hair and the beard; also a piece of linen
tied His wrists together and another tied His ankles together. His
blood type is AB. And he was definitely DEAD. There are no color
pigments or traces of brush strokes. Though the blood stains were
made by the blood clots, the human image was made in a manner
unknown even to modern science. Nature cannot produce that image.
How come it is even 3-dimensional?
Frei discovered 49 different spores; 33 grew only
in Palestine. And the overlay of the spores shows that the linen
thread with traces of cotton puts the Shroud in the 1st
century.
The image was caused by a discoloration of the
topmost fibrils. Out of 100-200 fibers on each thread, only 2 to 3
were discolored. How did this discoloration happen?
What happened to the man in the Shroud is exactly what
happened to the Biblical Christ, proof of which is shown in the
conformity to and deviation from the usual manner of crucifixion.
THE AGONY IN THE
GARDEN
THE PASSION OF OUR LORD JESUS CHRIST REALLY
BEGINS AT THE NATIVITY; for He alone was born to suffer and die for
others. The holocaust begins in the garden of Gethsemane. He is
eager to get over the work of redeeming mankind. But His human
nature “...began to fear and to be heavy.” He knows the physical
torture that is coming.
His human nature would beg, “Father, if You wish,
remove this chalice from Me.” Then He sets the example for us all,
“...but not My will but Thine be done.” He is in agony. He looks
around and sees His three faithful friends asleep. “He prayed
longer. And His sweat became as drops of blood, trickling down upon
the ground.” Luke, the physician, has described it with the
precision and conciseness of a good clinician.
Hematidrosa, a rare
phenomenon, a very special condition experienced by one in utter
dread and horror; “in agony”, a combination of struggle and anxiety.
Capillaries all over the body burst; the blood mingles with the
sweat. This mixture forms into beads, comes out of the pores of the
body. The quantity is sufficient that it “trickled down upon the
ground.”
The microscopic
hemorrhage takes place over His entire body, making His flesh sore
and tender. The coming scourging would now become more painful.
THE SCOURGING
The FLAGRUM is a short-handled whip usually with two thongs
tipped with the ankle bone of a sheep or a dumbbell-shaped lead,
meant to rip out the victim's flesh to pieces.
Christ is scourged in
this position, which explains why His arms were spared.
The pelvic region is
full of wounds, showing He was naked.
One of the two
executioners aimed at the legs wherewith the thongs clearly went
around the legs and lashed the front and back of the legs. The
scourging appears most cruel on the legs.
THE DIAGRAM SHOWS HOW
CHRIST WAS SCOURGED.
CHRIST IS
ARRESTED AND SURRENDERED TO THE SOLDIERS. A soldier is Christ’s
example of great faith and a soldier at Calvary would proclaim His
Divinity. But these soldiers have Satan breathing hatred into them.
They remove His clothes and bind Him naked to a
column. His arms are held up in the air with the wrists tied
together.
The scourging is done with a flagrum, a whip with
numerous thongs, at the end of which lead, in the form of a
dumb-bell, is tied.
The strokes are limited to 39 by law but these
soldiers go out of control. They want Him to faint. The marks crowd
the back, the shoulders and the loins, calves and thighs. Both the
thongs and the balls of lead cause a great deal of hemorrhages
lowering His resistance.
From the angle of the scourging, there must have
been two executioners of unequal height. They take turns in their
strokes. At first the strokes leave merely red marks; then the marks
turn blue. Then the skin, already tender, begins to break open. The
blood pours out; the skin is detached and hangs down. As the
scourging continues, the bloody furrows get deeper. The scourging is
so severe He continues to bleed six hours later.
His body quivers at every stroke. But He remains
silent, which redoubles the satanic rage of His executioners...it is
the unchaining of demons. The strokes get more violent and His blood
scatters like showers on those around. He should have fallen into
His own pool of blood but His tied hands hold Him up. This cruel
scourging would hasten His death.
The eyebrows and cheeks are swollen. His nose is
broken. And there is swelling around both eyes.
Blood flows from the deep wounds caused by the
thorns.
Blood accumulates here, held back by the tight band
of plaited rushes.
The crown covers the entire head, top and side.
Then a band of rushes goes around the nape up to the forehead to
hold the crown together but pressing the thorns deep into the skull.
THE CROWNING WITH
THORNS

The eyebrows and cheeks are swollen. His nose is broken. And
there is swelling around both eyes.
Blood flows from the deep wounds caused by the thorns.
Blood accumulates here, held back by the tight band of
plaited rushes.
The crown covers the entire head, top and side. Then a band
of rushes goes around the nape up to the forehead to hold the crown
together but pressing the thorns deep into the skull.
THEN A DIGRESSION
FROM THE USUAL MANNER OF CRUCIFIXION - This Fool claims He is the
King of the Jews. A robe, a scepter...and, of course, a CROWN. No
crucified man had ever worn a crown, except Christ.
In a corner, there is a bundle of firewood, long
flexible branches with long and sharp thorns. They plait this like
the bottom of a basket and put it on His head. They press this crown
and, with a band of twisted rushes, hold the crown together. The
crown is like a cap covering the top and sides of His head; and the
band runs around the nape and up to the forehead.
The scalp bleeds profusely. So blood clots form at
the top of the head. Some blood streams down to the forehead, crawls
under the band of rushes and soaks the hair and beard. The flow of
blood, in fact, reveals the band that obstructed its flow.
The soldiers jeer, bow, and kneel, adoring and
laughing. But there is nothing funny.
The face is especially cruelly struck. Was it when
He was at the Sanhedrin or now with the Legionaries? His face is
spat upon, struck with a stick, badly bruising His face, breaking
the septum of His nose and twisting it, causing His nose to bleed.
His right eye is nearly closed; His cheeks and chin are swollen. His
face has haematomes and excoriations at the lower lips and below the
right eye. Some hair of the beard has been plucked out.
THE CARRYING OF THE CROSS
The stipes were usually ready, standing in the place of
execution.
Christ carries only the patibulum as is the usual procedure
because the trial and execution are done so hastily that there is no
time to make changes.
Because Christ is not as unruly as the other two criminals,
His hands are not tied to the patibulum, allowing Him to freely
transfer it from one shoulder to the other. His right shoulder is
more bruised than the left. There are no back wounds to show He
carried the stipe.

The Patibulum was about 110-125 lbs. It was heavy, even for a
strong, healthy man. But superhuman effort is needed to carry it
after a scourging.
THE SCOURGING AND
THE CROWNING HAVE CAUSED BLOODY WOUNDS; the soldier's cloak used to
sneer at His majesty stuck to His wounds.
Now they tear the cloak from Him, reopening all the
wounds, and return His own clothes. Then they place the patibulum
(i.e., the horizontal beam only) -- around 110-125 lbs. heavy, on
His already wounded shoulders. The stipe, the vertical beam, is
already planted at Golgotha, ready for any execution. The patibulum
would worsen every wound on His shoulders.
Christ begins His journey, barefoot, along the
rough roads strewn with loose stones. Two thieves follow Him,
carrying their own patibulums. Fortunately, the road is only about
650 yards long.
Christ falls down, making both knees raw with
wounds. The right knee is more damaged; and the left knee is badly
cut.
The patibulum bruises His already wounded
shoulders, forcing its weight into His back. The wounds get bigger
and deeper with each stop. His seamless coat has a large patch of
blood reaching down His back. The scourging and the carrying of the
cross produced the largest excoriations on Christ’s body.
He falls again with the patibulum crushing His face
on the rough pavement. It goes on this way. “This man won’t reach
Golgotha alive,” the soldiers think. So they force Simon of Cyrene,
a man destined to be a good Christian, to help.
Christ reaches Golgotha and the crucifixion begins.
THE NAILING OF THE HANDS
The nail enters the "Space of Destot," a tiny spot between
three bones, well known to executioners of ancient times, which is
strong enough to support the whole body.
The entry of the nail would damage the median nerve, causing
the thumb to bend sharply.
The blood on the left hand is clearly on the wrist. The wound
on the wrist of the right hand is covered.
Christ is laid down on the Patibulum which is resting at the
foot of the stipe.
THE EXECUTIONERS
ARE EXPERTS; they would do this in a few minutes.
First, Christ is stripped of His cloak that by now
has stuck to His wounds. Ordinarily, because every linen fiber is
attached to the nerve ends laid bare by the wounds, to remove this
would require general anesthetic.
The executioners are in haste and are not gentle in
handling the whole matter. It might as well be since every happening
is a dictate of God’s will.
A soldier positions one arm with palms facing
upward. Another soldier takes a long nail, square in shape and
pointed, 1/3 inch thick near the head; he feels His wrist in that
fold he knows by experience, aims the nail there and, with one blow,
the nail is fixed on the wood.
Christ's thumb violently bends inward into His
palm. His median nerve has been touched, causing inexpressible pain
darting through His fingers, passing through the shoulders and
bursting in His brain...the most unbearable pain man can
experience--the wounding of the nervous system. One usually faints
to escape the pain; Christ remains conscious. The median nerve is
not destroyed; it remains alive and will rub on the nail for three
hours, reviving the lightning pains through His body.
The other arm is pulled by the soldier -- the same
procedure, the same pains. Now He is nailed to the patibulum.
RAISING OF THE PATIBULUM
AND NAILING OF THE FEET
The stipe is about 6 feet 8 inches high. This enables the
soldiers to easily raise and affix the patibulum on it.
The cross is ordinarily low, as can be surmised from the
angle of the lance-wound at the side. The executioners do not have
to use ladders. Everything can be done at arms length.
Nail at the foot
The nailed foot is 1 foot 8 inches from the ground.
THE SOLDIERS PULL
HIM UP TO A SITTING POSITION...rubbing on those median nerves. This
has to be done quickly because it is heavy; they jerk the patibulum
up on the top of the stipe and, with a skillful gesture, secure it
there. For a moment, Christ hangs on His hands, pulling on those
nerves without any support from His feet.
The wounds on His back are scratched by the rough
wood behind. His crowned head bangs behind, driving the thorns
deeper.
The soldiers then bend His knees and flatten His
feet on the wood of the stipe. The left foot is first laid flat on
the wood. The soldier drives a nail between the second and third
matatarsal bones, but without nailing it to the wood. Then the other
soldier brings this left nailed foot on top of the right foot and
drives the same nail into the right foot and, with a few more blows,
embeds the nail into the wood. There is not much bleeding; the blood
would flow when the nail is removed. Everything is done in two
minutes. Then the soldiers proceed to do the same to the two
thieves.
Christ has refused the analgesic drink of wine
mingled with myrrh and gall before lying on the patibulum. This
would have deadened the pain but, no, He wished to suffer to the
full.
He has neither eaten nor drunk since the evening
before; His sweating, His fatigue and loss of blood have made Him
very thirsty. His features are drawn; His face is pale and spotted
with congealing blood. His mouth is half open and His lower lip is
drooping. A little saliva mixed with blood from His nose is flowing
down. His beard, His throat are dry and on fire; He can no longer
swallow...but He thirsts.
This is Christ, the fairest of the children of
men...bleeding, battered, deformed. He thirsts, yet a drink at this
point is so painful He could faint. But He does not faint because He
must suffer to the full.
Then a strange phenomenon occurs...this is what
kills the crucified.
AGONY ON THE
CROSS
The
raised arms, which is the position for inhaling, make the sides
immobile and make exhaling difficult. Thus the crucified gradually
suffocate, making the heart work harder and making it weaker. The
slow movement of the blood in the body eventually causes a tetanic
condition of the whole body.
Cramps start in the forearm and spread towards the lower
limbs. Breathing becomes difficult, the normal oxygenation of the
blood does not occur, the victim is literally strangled. This
happens in the "sagging" position, when the whole body weight is on
the arms.

To relieve the strangulation, the victim has to
push up with his legs on the nail, thus relaxing the arms and
enabling him to breathe (and speak). But after a while, he tires and
sags again.
The Agony on the Cross is the alternation of "sagging" and
"straightening up", of asphyxia and breathing.
To die, the victim simply abandons the struggle of
"straightening up" (or if the executioners are in a hurry, they
break the victim's legs) causing permanent asphyxiation, congestive
heart failure and, eventually, death.
C
HRIST'S ARMS NOW SUDDENLY
STIFFEN; contraction of the muscles takes place. His deltoid
and bicep begin to stand out. His fingers are drawn sharply inwards.
CRAMPS!!! One must immediately relax the muscles by extending them.
His thighs and legs have
become rigid bulges and His toes are bent...it's TETANUS!!! The
stomach muscles tighten, then the intercostal; next, the muscles of
the neck, then the respiratory muscles. Breathing becomes shorter
and lighter. The solar plexus sinks inwards...the air enters His
lungs but it cannot come out. He inhales but cannot exhale. His face
turns flush, then violet purple, then blue. His forehead is covered
with sweat; His eyes are rolling; pain is hammering in His head. He
is ASPHYXIATING!!! He is going to die.
But this is the Son of
God; He will die when He wills. And not just now. So Christ does
what every crucified man would do to alleviate the cramps and
prevent asphyxiation. Using the nail through His feet as support, He
pushes, pressing on His wounds. His knees stretch bit by bit; His
body gradually lifts up. This relieves the pressure on the arms, the
asphyxiation recedes, the muscles relax, the lungs are unloaded and
He exhales. He can only exhale in this position; He can only speak
in this position. So every time He speaks, He must force Himself
into this posture.
"Father, forgive
them..." The wounds in His feet pain Him, so He begins to sink down
once more...and the cramps and the asphyxiation come back again. And
as He rises and sags, so to speak, those nails are working havoc on
those median nerves in His wrists, the thorns working deeper as He
bangs His head on the wood behind.
Crucifixion is
strangulation, and then allowing the victim to come back to life but
to be strangled again after a few minutes. With Christ, this would
last for three hours.
CHRIST DIES ON THE
CROSS
CHRIST'S POSITION AS HE EXPIRES
The double flow of blood from the wrist is
caused by the movement of "sagging" and "straightening up". The
angle of the flow is about 5-10 degrees.
None of the sufferings of Christ could have
caused death except asphyxiation.
The "sagging" and "straightening up" also cause
the banging of His crowned head on the wood behind, driving the
thorns deeper.
Christ dies after three hours, which is
ordinarily short. The thieves are still alive.
CHRIST PULLS HIMSELF UP AGAIN TO BREATHE AND SPEAK: "SON,
BEHOLD THY MOTHER." Now, His wounds are infected. A light-colored
lymph is oozing from them. On the earlier wounds, false membranes
are forming which secrete a serum mixed with pus: "My sores are
putr
efied and corrupted," the psalm prophesied.
It's about 3:00 p.m.
Jesus is holding out. Now he pulls Himself up, now He sags. All the
pains, thirst and cramps, the asphyxiation, the torture brought
about by the nails rubbing on the median nerves...and not a
complaint from Him.
He raises Himself one
last time; He knows it is over...that is, His work of Redemption. So
He cries out, "Consummatum est," showing He is dying of His own free
will and in His own time. "Father, into Thy hands I commend My
Spirit." Then He lets go; He sags. Tetanization and asphyxiation set
in. He cannot breathe. With a last sigh, His head drops slowly, His
chin above the breastbone. His face is now relaxed and calm; it is
illuminated by the gentle majesty of God. He dies because He wills
it.
Rigor mortis sets in;
His legs become as hard as steel and very hot because of tetanic
spasm. The earth quakes and the sun turns dark.
HISTORY
CRUCIFIXION WAS FIRST RECORDED AMONG THE PERSIANS. It went to
Carthage where the Romans learned of it.
The Romans used it
extensively against the Jews. Two thousand Jews were crucified by
Varus. In the siege of Jerusalem, 500 Jews were crucified a day.
Crucifixion is death by
slow asphyxiation...a grotesque thrill to perverts and the spectacle
was meant as a deterrent.
A SOLDIER STABS CHRIST
The wound is below and to the outside of the
nipple, the fifth inter-costal space
on the right edge of the breastbone leading to the very thin wall of
the right auricle. The auricle in a corpse is filled with blood
while the ventricle has no blood. While the lance is on its way to
the auricle, it passes through the pericardium which contains
pericardial fluid in big amounts when a person is in agony. The
accumulation of fluid here causes dreadful pain around the heart,
fever, and intense difficulty in breathing.
The head wounds are antemortem but the chest wound is
postmortem, proven by the fact that the blood does not spurt out,
showing a non-beating breast.

Actual size of the wound
THE JEWS HAVE KILLED THE SON OF GOD AND NOW TRY TO PLEASE GOD
THE FATHER WITH THE OBSERVANCE OF THE SABBATH. The crucified must be
disposed of speedily so as not to defile tomorrow's feast. The
soldiers break the legs of the two thieves with an iron bar. They
now hang helplessly, unable to raise themselves up to breathe.
Tetanization and asphyxiation will finish them soon.
Christ is already dead.
Just to be sure, a soldier raises his lance and, with one
well-studied and well-rehearsed blow, stabs Christ deep at the right
side. In battle, this blow causes certain death. "And immediately
there came out blood and water." A stream of dark liquid blood first
gushes out; then slowly drips over the chest, coagulating in several
layers. And then, noticeable at the edges of the blood, there is
liquid as clear as water.
The blood comes from the
punctured right auricle and the water comes from the pericardium.
The soldier has helped
prove Christ resurrected by making sure He is dead.
CHRIST IS BROUGHT DOWN FROM THE CROSS AND CARRIED TO
THE TOMB
1. The nails from the feet
are removed.
2. The patibulum is
lowered.
3. Christ's lower part is covered with a sheet.
4. He is carried on the
patibulum by five people. The fifth, holding His feet, stops the
flow of blood from the heel.
5. Christ's hands
are removed from the patibulum and tied together in front. So are
His feet bound together; a chin band, too, to keep the mouth
closed.
6. The Shroud is folded to
cover the back and front of the body. Then the body is left
unfinished for burial because of the Sabbath.
CHRIST IS DEAD. His chest is expanded to the maximum; and His
stomach is hollow.
A wealthy man, Joseph of
Arimathea, asks for Jesus' body and places it in his own new tomb.
Joseph gives Jesus a personal burial, complete with the burial
linens. But the burial process is hurried because of the approaching
Sabbath. The burial preparations would not be complete.
Christ's wounds continue
to exude infected lymph, like a live body. This dampens the clothes,
making the body stick to the linen and leaving there traces of the
wounds. His blood clots would stick to the linen.
The disciples, out of
reverence, do not want to touch the body. In death, He is full of
majesty and divinity. The blood clots remain untouched and unmoved;
a little rough handling and these clots would have been gone.
Within three hours,
Joseph has gone to Pilate, returned to Golgotha, looked for burial
linens, taken the body from the cross and laid it in the tomb. By
this time, the three hours are over. It is the Sabbath.
While being carried from
the cross to the tomb, most of the blood flows down. By the time the
body is laid on the Shroud, little blood is left. This explains why
the Shroud is not drenched with blood.
Christ is dead, indeed,
but His body would never reach corruption.
THE RESURRECTION
In the Shroud, the eyes of Christ are covered with coins, a
Jewish burial practice to keep the eyes closed.
The coin used is a Leptum minted by Pontius Pilate in 31-32
A.D.
The 3-dimensional front image shows a swollen abdomen which
is a sign of asphyxiation...the cause of death in a
crucifixion.
If the Shroud, indeed, is the burial linen of Jesus Christ, it
means: a) Christ died the way Scripture describes; b) He rose from
the dead, as Scripture says; c) He is God, as Scripture claims; and,
therefore, d) He demands obedience from us, otherwise we perish.
When Peter and John saw
the burial linens-just the linens-"they believed" that Christ had
resurrected.
The body could not have
been stolen, as claimed by the Jews, because the bloodstains were
not smeared; neither were the blood clots broken. The body was
removed, but not in a natural way.
How did the resurrection
take place? In the darkness of the Jerusalem tomb, the dead body of
Jesus lay, unwashed, covered with blood, on a stone slab. Suddenly,
there was a burst of mysterious power from it. In that instant, the
blood dematerialized, dissolved, perhaps, by the flash of Divine
light, while the image of the body became indelibly printed on the
Shroud, preserving for posterity a snapshot of Jesus Christ at the
precise moment of His resurrection.
Ironically, it was
science that unveiled the miracle of the Shroud and, standing
bewildered, leaves it to Faith to answer the last question: how the
image was imprinted on the Shroud.
Science has always been
accused of discrediting Faith. Today, science has shown that it is
the last bastion of Faith, by pointing its finger on the linen of
Christ, hoping, like Peter and John, that the linen alone can prove
that Christ rose from the dead. Having expounded the miracle of the
Shroud, science has also proven that the Catholic religion is the
only true religion.

This is the most probable manner by which Christ's image was
imprinted on the Shroud. The Shroud shows evidence of death and
rigor mortis, and rightly so, because there is no Resurrection
unless He was dead.
(updated
01-04-02)